Sager Corporate Park - Lot's

  • Featured Property
  • Build To Suit
  • Business Park

Details

Development Opportunities!

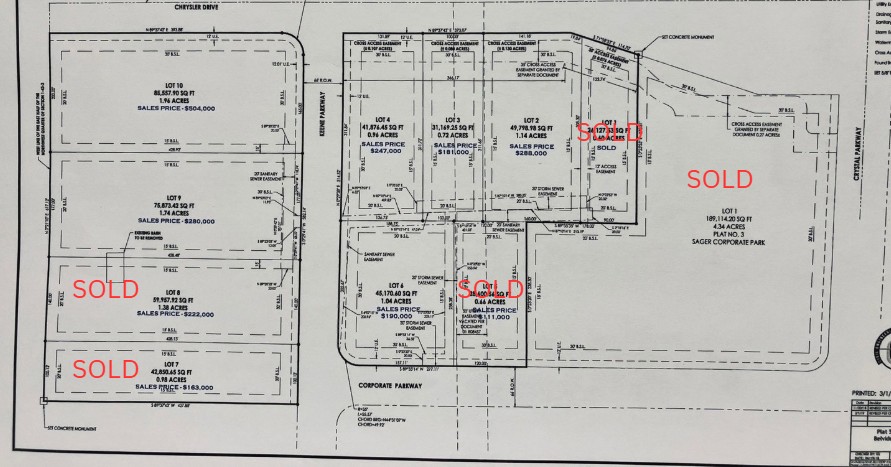
  • Lot 10, Keene Parkway: 1.96-acre lot priced at $560,000.
  • Lot 9, Keene Parkway: 1.74-acre lot priced at $340,000.
  • Lot 6, Corporate Parkway: 1.04-acre lot priced at $207,000.
  • Lot 2, W Chrysler Drive: 1.14-acre lot priced at $330,000.
  • Lot 3, W Chrysler Drive: 0.72-acre lot priced at $210,000.
  • Lot 4, Chrysler Drive: 0.96-acre lot priced at $280,000.
  • Located in Belvidere-Boone County Enterprise Zone
  • Build-to-Suit Opportunities
  • Situated in Belvidere’s Sager Industrial Park 
  • Just east of Stellantis Belvidere Assembly Plant (fka FCA/Chrysler)
  • Located between the Genoa Rd. and Irene Rd. I-90 interchanges, with convenient access to both
  • Low Boone County taxes

Category

Enterprise Zone, Build-to-Suit, Land

Location

Multiple locations
Belvidere, Boone, IL 61008
US
Parcel:07-01-127-007

Financials

Sale Price: --

Lease Price: --

Terms:

Sq. Ft.: --

Acres: 0.00000000 - 1.14000000

Tax: --

Tax Year: --

Features

In City Limits

Land

Build To Suit

Business Park

Building

Sub-dividable

Expandable

Shovel-Ready

Industrial Park

100-Year Flood Plain

Phase 1 Environmental Audit Complete

Utilities

Water

Sewer

Electric

Natural Gas

High Speed Telecom

Transportation

Nearest Airport: 15 miles

Nearest Highway: 1 miles


Broker Info

AGENT/BROKER CONTACT

Tom Jurs
Hometown Realty, Ltd.
Phone: 1-847-702-9641
tjurs@foxvalley.net


ECONOMIC DEVELOPMENT CONTACT

Pamela Lopez-Fettes
Growth Dimensions Economic Development
982 Belvidere Road
Belvidere, IL 61008
Work: 1-815-547-4252
Cell: 1-815-355-2250
Email: pfettes@growthdimensions.org

Posted On: 10-22-2021
Last Updated: 3 months ago